
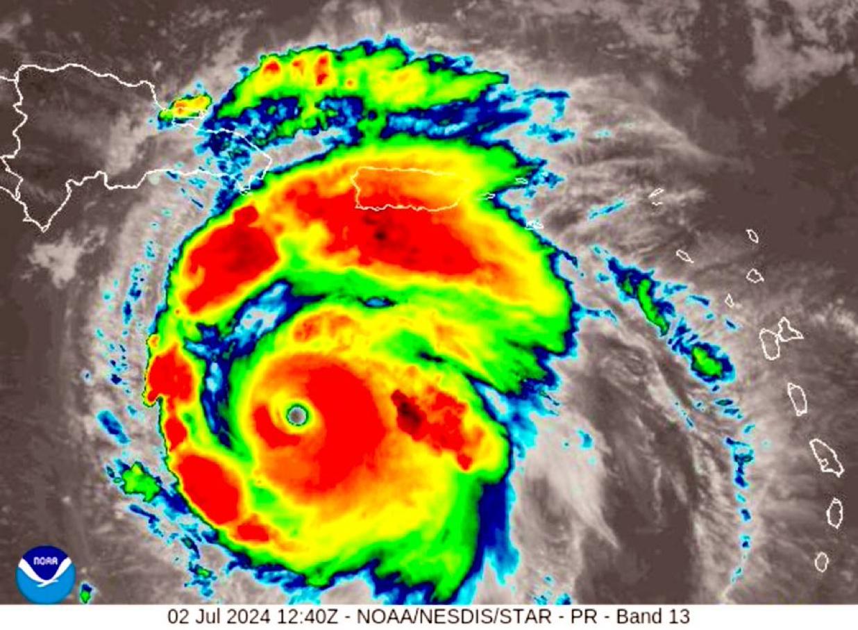
Santo Domingo.-El huracán Beryl estaría debilitándose en la tarde de este martes a medida que avance por el centro del Caribe, pronosticó el Centro de Huracanes de Miami.
El fenómeno, que sigue desplazándose como categoría cinco, se estaría acercando en horas de la tarde a 325 kilómetros del sur de Santo Domingo, que será lo más cercano que pasará por la República Dominicana.
El Centro de Huracán de Miami dijo que el debilitamiento de Beryl se producirá debido a una cizalladura de viento vertical, con la cual se encontrará a su paso por Jamaica, donde además el terreno elevado de esa isla aportará.
Sin embargo, advierte que ese es un pronóstico incierto más allá de un par de días, debido a que Beryl podría llegar al Golfo de México como un fuerte tormenta tropical.